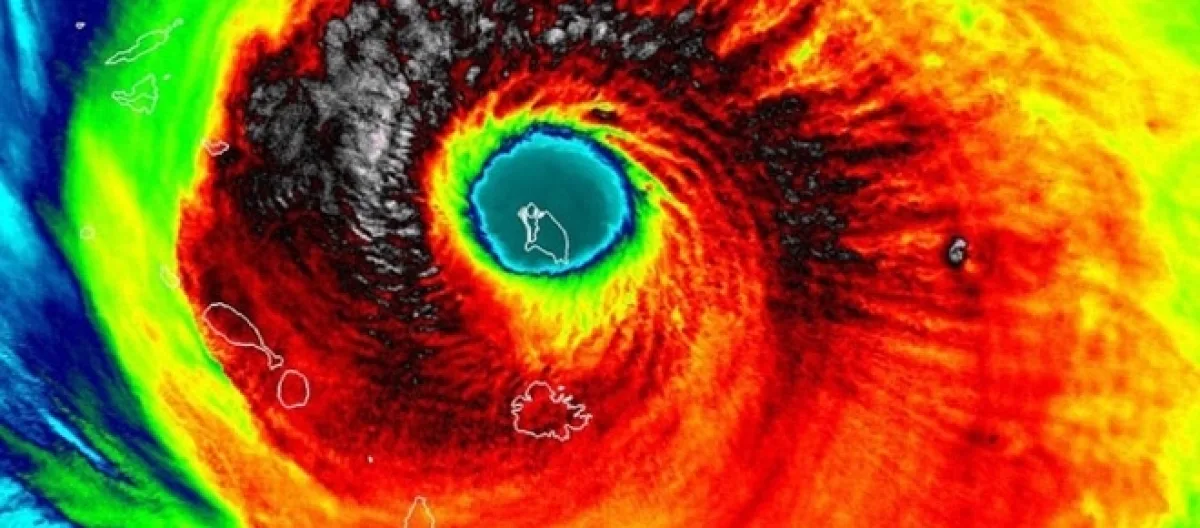
The Barbudan people have been living on the island of Barbuda for 300 years, but after the 378-mile-wide Hurricane Irma tore through the 62-square-mile island, “the damage is complete,” according to Ronald Sanders, the U.S. ambassador to the nation of Antigua and Barbuda.

With winds pounding Barbuda of more than 150 miles per hour, 95 percent of the structures on the island were either destroyed or suffered major damage.

Three people were killed in the storm and roughly 60 percent of the population was made homeless. There is no electricity and no clean water.

Everyone has gone from Barbuda

As recently reported, Gaston Browne, prime minister of Antigua and Barbuda did a fly over of the island after the storm, but since being able to get feet on the ground, the damage from Hurricane Irma was worse than first estimated. Now, all of Barbuda’s approximately 1,600 residents have been evacuated to the sister island of Antigua, less affected by the storm, leaving no one behind.

Only pets were left on Barbuda.

As reported by CNN, Sanders, who has been the U.S. ambassador to Antigua and Barbuda since 2015, said the damage from the storm “was complete,” adding that there is not one single living person on the island. He said a civilization that has been in existence for three centuries has been "extinguished."

Sanders went on to say that Hurricane Irma was “the most ferocious, cruel and merciless storm” in the history of Barbuda and that the island and its people had no chance against such a “huge monster.”

An entire Caribbean island evacuated

On September 8, Browne launched a mandatory evacuation order to move every resident to safety in Antigua, where they are living in government facilities and nursing homes under cramped conditions.

Antigua families have also opened their homes to as many people as they can. Children will be attending school in Antigua for the time being.

As the evacuation was underway, Browne told the BBC that a fast rebuild and recovery operation on the island was unlikely to happen. He said their government simply cannot afford it. Browne went on to say that they hope international partners and friendly governments will come forward to assist the island. PRI quoted Browne as saying the result of the storm is a “national disaster of epic proportions” and that Barbuda needs outside help. He stressed that this wasn’t a “want,” it was a “need.” The cost of reconstruction has been estimated to be in the region of $200 million and would likely take several years to complete.

Rebuild must stand up to future hurricanes

CNN quoted Sanders as saying Barbuda relies on tourism to survive, but in the meantime Antigua is still available for tourism. Mentioning that Barbuda has world-class beaches with pink sand and crystal clear water, he said the island is beautiful for tourism. However, when the rebuilding is done, it must stand up to any future hurricanes, because he believes “climate change is here to stay.”