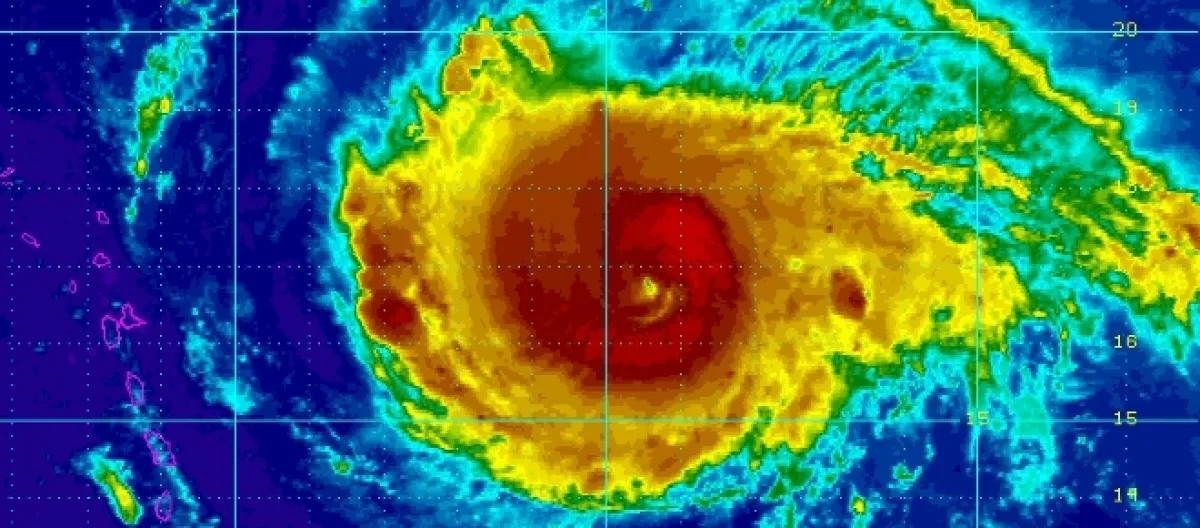
Hurricane Irma, one of the most powerful storms to hit with wind speeds of 295km/h (185mph), has hit the caribbean. The US National Hurricane Center stated that Hurricane Irma is currently passing through the borders of the USA. With it being Category 5, it is stronger than the recent Hurricane Harvey that swept through Texas. The hurricane is categorized in the highest possible category by the Saffir-Simpson scale and already left at least 7 people dead.

There is no sign of the hurricane getting weaker and there are currently two storms that strengthened to hurricanes in other parts of the Atlantic.

Where exactly did Hurricane Irma hit?

The hurricane first hit Antigua and Barbuda where it damaged at least 95 percent of the buildings on Barbuda island. According to Prime Minister Gaston Browne in Barbuda, the death of a child was confirmed and in Antigua, the population escaped unharmed. The dual-island nation is almost submerged in water and most of the places were devastated by the hurricane. According to Guadeloupe Prefect Eric Mairen, the French territories of St.

Martin and St. Barthélemy have a confirmed number of 6 deaths. The airport at St. Martin, which is known to be the third largest in the Caribbean, was destroyed. The local officials said that most of its buildings were leveled by the hurricane.

What is the current situation?

Express UK reported that projections predict that the eye of the storm will arrive just south of Florida by 8 AM EDT on Sunday morning, so lots of residents there have been evacuated. It is also projected that it could hit mainland Florida by Monday but these projections might be off so nearby places are also advised to be vigilant.

A state of emergency has been declared for Florida, Puerto Rico, and the US Virgin Islands among others that could be affected by the hurricane.

Hurricane Irma is expected to pass along these places and the U.S. government, as well as the British government, have mobilized disaster relief efforts to help affected people.

Currently, power supplies are cut off on affected islands and the death toll is expected to rise. Flooding is also expected in affected areas. In the meantime, two new storms have been upgraded to hurricane category 1 and one of them, Hurricane Jose, might hit the places already affected by Hurricane Irma. However, Hurricane Katia in the Gulf of Mexico is expected to pass through the coast of the Mexican state of Veracruz where a warning has already been issued. Although the storms have developed into hurricanes in succession and in close proximity, it is not uncommon in the Atlantic.