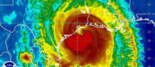
As the summer quickly approaches and many Americans spend their days at the beach basking in the sun and enjoying the beautiful weather, the dark side of this season will show its face as well. Destructive hurricanes like Matthew, Katrina, and Sandy have moved through the East Coast in past years and this trend is predicted to grow in 2017.

Unprecedented numbers

Hurricane season, which is considered To Be from June 1st to November 30th, could bring as many as 11 to 17 dangerous hurricanes to our shores. On average, there are roughly twelve storms per season, with only three turning into catastrophic hurricanes, so the number Expected this year is much higher than normal.

The effect is truly unknown

A forecaster from NOAA's Climate Prediction Center, Gerry Bell, has said that water temperatures in the Atlantic Ocean are rising, which can fuel the power of these storms, and El Niño conditions may almost be nonexistent, which is even more alarming. Despite the predictions, however, it is impossible to know how many storms will actually, develop and sometimes reports can mislead the public, as scientist Kerry Emanuel from Massachusetts Institute of Technology said. Some seasons may have no hurricanes, and others can produce several big-time storms, even if they don't occur in the United States, because weather is unpredictable.

Weather tools

In order to keep an eye on this storm season, a recent satellite will enable forecasters to have a better understanding of the development of storms, most specifically when the new weather tool situates itself above the East Coast in several months, said NOAA administrator, Ben Friedman.

Nevertheless, despite this pressing matter, the White House intends to implement NOAA budget cuts, which could negatively impact efforts to strengthen NOAA's forecasting capabilities. Signed by President Trump, the bill, according to former NOAA chief operating officer, David Titley, will most likely not be passed, because another bill was passed only a short time ago calling for more funding for forecasting agencies.

It never hurts to be prepared

Even if the forecasters do turn out to be wrong, being prepared for impactful storms is critical. Many lives can be saved when the public is aware of what's happening and follows directions. Government officials, lawmakers, and forecasters are strongly encouraging citizens to take several precautions in wake of what is to come this season.

Furthermore, if you know you're in an area where hurricanes and other storms are common, like in a flood zone, having supplies in the case of an emergency as well as an escape plan could potentially save your life if a high category hurricane does hit.