Florida citizens are hurrying out of the State as the wrath of Hurricane Irma barrels through the Caribbean, in an attempt to evade the damaging storm and avoid a situation similar to that of Houston. As a show of solidarity for its customers, airlines such as JetBlue, Delta, and American Airlines are capping their airfares to let more people out of the state during the massive storm that is expected to make landfall later this week.

Airlines cap ticket prices

JetBlue Airways is offering a cap for direct flights from every Florida city it operates at the discounted price of only $99.

The price cap, which lasts until September 10 is also in place for all Florida connecting flights, with a maximum fare of $159. JetBlue spokesman Doug McGraw said that the company wanted their customers to focus on safe evacuation rather than worry about plane ticket prices that will take them to get out of Florida, which had been declared a state of emergency by President Donald Trump.

American Airlines and Delta followed JetBlue’s lead with American airlines capping their pre-tax fares at $99 for their main cabin seats on direct, single leg flights out of Florida for travel until September 13.

Delta, meanwhile, is waiving fees for customers who want to change their flight plans to get out of the state.

They are also adding the number of flights as well as the sizes of the aircraft used on the flights from San Juan and South Florida in order cater to the number of customers leaving the state. The airline is also adding flights from several key cities to Atlanta. From there, citizens can make their way to other U.S destinations. Fares on flights out of Florida are capped at $399.

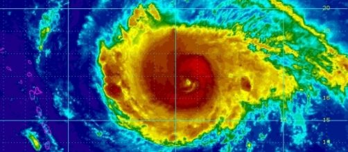
Hurricane Irma now category 5 storm

Forecasters said that Hurricane Irma is a “potentially catastrophic” Category 5 storm, and is set to be one of the strongest hurricanes ever to be recorded in the Atlantic. As Texas and Louisiana are still reeling from the wake of Hurricane Harvey, Florida Governor Rick Scott ordered officials to suspend tolls on Tuesday as thousands of residents are advised to evacuate the state.

He also activated members of the Florida National Guard and required all 7,000 members to report for duty on Friday, when Irma is expected to make landfall.

Scott noted that with Irma being a Category 5 storm, he wants families and communities to be prepared for any potential impact, adding that while they can hope for the best, Florida citizens should also prepare for the worst.