Hurricanes cause a lot of human and economic destruction. Those who died cannot be recovered but the infrastructure can be rebuilt. Irma and Harvey have caused a lot of loss to America, so, the reconstruction costs will be huge. There are estimates about it, and the results may surprise you. Joel Myers, the President of AccuWeather, estimates that the damage caused by Irma is about $100 billion. This is around 0.5 percent of the U.S. economy. The destruction caused by the Hurricane Harvey is almost twice more than Irma's. At about $190 billion, it is equal to one percent of the U.S.

Gross Domestic Product (GDP). Harvey has been the most expensive weather disaster in American history.

The US economy will lose speed

The damage caused by both hurricanes is equal to 1.5 percent of the U.S. economy. This will reduce economic growth as it will take a time to rebuild all that has been devastated. There is already higher unemployment, property damage, agricultural losses, damaged infrastructure, affected houses, economic activities that were impacted by the storms. The losses will be felt by a high percentage of the population because some properties are not covered by insurance. Millions of people have already been evacuated, so, this event is already affecting their lives and incomes.

Deaths

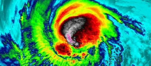
There were at least five deaths in Florida while Irma advanced through the state causing pain and destruction. Irma reached even 142 miles per hour at its peak moment. There were at least 27 deaths in the Caribbean region, where the hurricane first landed before hitting the United States. A lot of islands in that area have been seriously hit. In Florida, more than 4 million inhabitants have no energy at all.

Looting

Many U.S. cities and towns imposed curfews because some people tried to take advantage of the natural disaster. There were burglaries and looting, so, the police arrested some people. Irma also affected Georgia, and tens of thousands have no energy, though to a lesser degree than Florida.

Irma will keep advancing

At first, the hurricane affected the Caribbean region, but later it hit the Keys. Irma also swamped many areas of Miami and Naples bringing winds, rain, and flooding, then, it moved to the north of Florida. Next, it will move to Alabama, Georgia, and Tennessee where strong rains and flooding could take place. There are many days of destruction and suffering ahead.