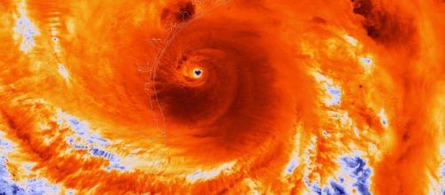
Gov. Rick Scott has placed Florida on a state of emergency as Hurricane Irma inches closer to the state. The storm, which was upgraded to the maximum Category 5 on the Saffir-Simpson hurricane wind scale, may make a direct landfall in southern Florida as it also threatens to ravage the Caribbean countries like Barbuda and Bahamas.
Major damage in Florida expected
According to the New York Times, Hurricane Irma is estimated to become the second strongest hurricane to affect this side of the Atlantic Ocean, with winds reaching as much as 185 miles per hour.
5 AM: Irma has max sustained winds 150 mph. Everyone should continue to monitor, check supplies, and be ready to implement action plan #FLwx pic.twitter.com/P9JlSm7DIU
— NWS Miami (@NWSMiami) September 5, 2017
Because of this, the state and county officials have started planning ahead the response to the impending disaster. Scott, for his part, has requested the help of the federal government in releasing an emergency declaration for the 67 counties in his state, along with the state of emergency.
Mandatory evacuations are due to start on Wednesday in the Florida Keys archipelago as they are one of the parts of the state that will most likely be in the path of the hurricane. Miami-Wade County Mayor Carlos Giménez, who is the head in a geographical area with 2.7 million people, has also ordered that evacuations be done in the most vulnerable areas in his jurisdiction.
It is expected that Hurricane Irma will be able to sustain its strength as either a Category 4 or 5 storm until the weekend as it makes its way through the Caribbean and Florida.
To ensure that there will be a strong response team in place during the worst of the storm, Gov. Scott has already activated 100 members of the Florida National Guard as part of the state of emergency.
Back-to-back major hurricanes
The arrival of Hurricane Irma comes less than a month after Hurricane Harvey battered Texas. Harvey, which became the first major hurricane to make a landfall in the United States since 2005, greatly affected areas of Texas especially Houston.
#Irma is the strongest #hurricane in the Atlantic basin outside of the Caribbean Sea & Gulf of Mexico in NHC records https://t.co/tW4KeGdBFb pic.twitter.com/P8ebbQJR4k
— NHC Atlantic Ops (@NHC_Atlantic) September 5, 2017
Houston, the fourth largest city in the United States, was caught off-guard with the strength of Hurricane Harvey.
Texas is already in the middle of rehabilitations and the federal government is doing what it can to speed up the efforts.
USA Today reports that upon returning from a break, the House will be approving the release of a $7.9 billion disaster aid package to both Louisiana and Texas. The Senate is also set to vote on the same measure on their end, with Senate Majority Leader Mitch McConnell prioritizing the passage of a disaster aid bill.